Land at Le Petit Val
£
135,000
- Tenure: Freehold
- Beds: 0
- Baths: 0
- Garden: Yes
- Parking: Yes
Property Description
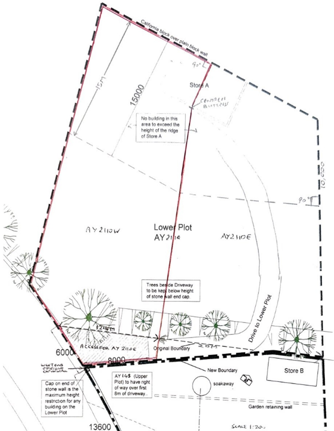
A desirable parcel of land offering an exceptional opportunity to create a bespoke coastal residence, subject to planning permission. Situated in an elevated position, the site commands sea views across Platte Saline Bay.